Description
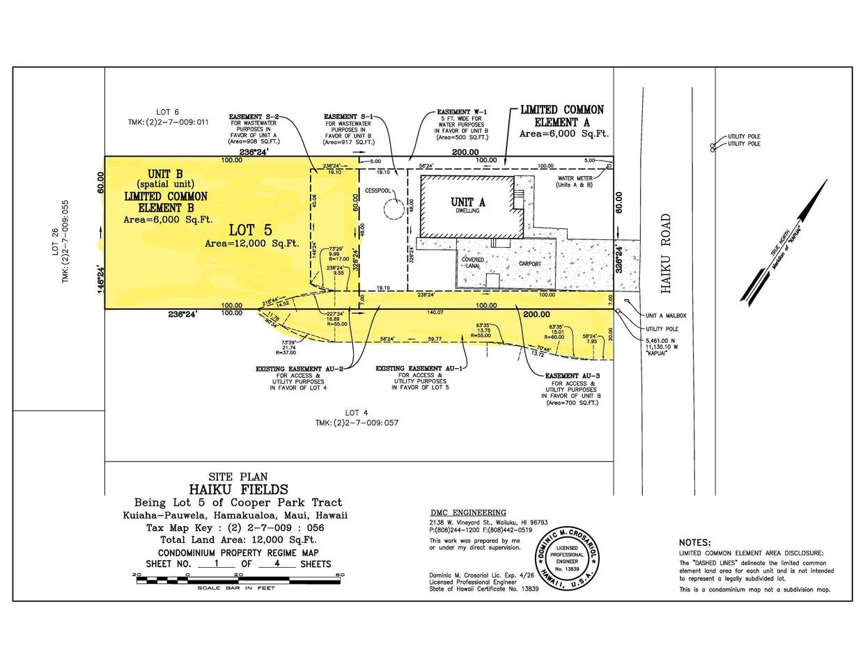
Wow! This fantastic "ready-to-build" lot comes with shared county water on-site and overhead electricity already in place! A major bonus: the owner has applied for a building permit, which transfers to the new owner, including plans for a 720-square-foot home with a carport (plans available upon request). Unit B is allocated 13 of the 31 water fixture counts, and no additional electric poles are needed to power your home. Enjoy easy access to Haiku Road and the charming Pauwela Cannery, perfect for dining, shopping, and picking up hardware essentials. This vacant lot, one of two CPR'd units in "Haiku Fields," has no HOA fees. Unit B offers exclusive use of 6,000 square feet, plus an access easement through a neighboring property. Build your dream home surrounded by lush tropical gardens, featuring abundant papaya trees, a towering 40-foot lychee tree, and a fragrant ylang ylang tree. Don't miss your chance to turn this ideal spot into your dream retreat!
-
0BEDS
-
0.55ACRES
-
0BATHS
-
01/2 BATHS
School Ratings & Info
Description
Wow! This fantastic "ready-to-build" lot comes with shared county water on-site and overhead electricity already in place! A major bonus: the owner has applied for a building permit, which transfers to the new owner, including plans for a 720-square-foot home with a carport (plans available upon request). Unit B is allocated 13 of the 31 water fixture counts, and no additional electric poles are needed to power your home. Enjoy easy access to Haiku Road and the charming Pauwela Cannery, perfect for dining, shopping, and picking up hardware essentials. This vacant lot, one of two CPR'd units in "Haiku Fields," has no HOA fees. Unit B offers exclusive use of 6,000 square feet, plus an access easement through a neighboring property. Build your dream home surrounded by lush tropical gardens, featuring abundant papaya trees, a towering 40-foot lychee tree, and a fragrant ylang ylang tree. Don't miss your chance to turn this ideal spot into your dream retreat!
